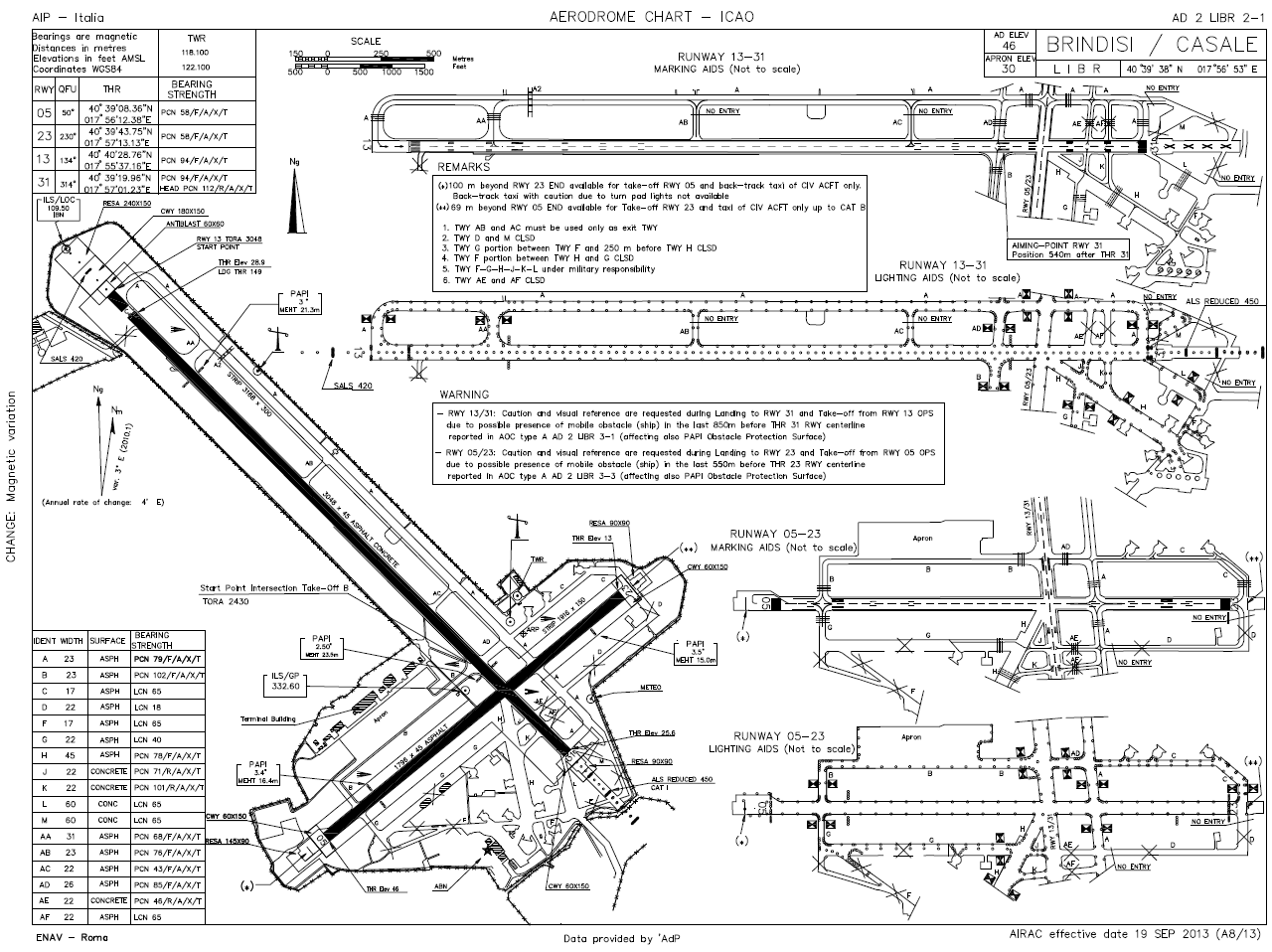
Italy / Brindisi_Casale
AUTEURS
Les cartes et les diagrammes des aéroports sont produites par M. Olivier "Red Dog" Beaumont de "CombatSims Checklist".
Les cartes et les diagrammes des aéroports produites par M. Olivier "Red Dog" Beaumont ne peuvent être reproduites ou diffusées sans son autorisation.
La mise en page de cette section a été produite par le Général Jim «Spyder» Beattie.

MISE À JOUR:
La dernière mise à jour de cette page web a été effectuée le 2021-09-06 à 22h05
(CANADA
HNE, UTC-5).